Reiteran que temporada de huracanes en Atlántico será más activa de lo normal


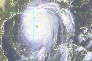
Washington .- La temporada de huracanes en la cuenca atlántica, que se extiende hasta el 30 de noviembre, será este año más activa de lo normal, según el pronóstico difundido hoy por la Administración de Océanos y Atmósfera de Estados Unidos, que coincide con otras previsiones anteriores en el mismo sentido.
La agencia, conocida por su sigla en inglés NOAA, añadió que la temporada podría ser «muy activa» especialmente entre mediados de agosto y finales de octubre.
«Nuestra expectativa de que será una temporada por encima de lo normal sigue siendo firme, porque se han materializado las condiciones atmosféricas y oceánicas pronosticadas, y son favorables para el desarrollo de las tormentas», dijo en un comunicado Gerry Bell.
Bell es el «pronosticador jefe» en el Centro de Predicción de Clima de NOAA, una división del Servicio Meteorológico Nacional.
«Asimismo, dos de las cuatro tormentas con nombre hasta la fecha se formaron en la región tropical profunda del Atlántico, lo cual es, históricamente, un indicador de una temporada activa», añadió.
Las condiciones son ahora similares a las que han producido muchas temporadas de huracanes activas en el Atlántico desde 1995.
Ha habido temperaturas en la superficie del mar por encima de las normales y una fuerte estación de lluvias en África occidental, lo cual produce patrones de vientos que convierten los sistemas de tormentas en tormentas tropicales y huracanes.
La temporada de huracanes en el Atlántico comenzó el 1 de junio y ya se han presentado cuatro tormentas tropicales con nombre, Andrea, Barry, Chantal y Dorian, aunque ningún huracán por ahora.
Los meteorólogos pronostican que hay un 70 % de probabilidades de que se produzcan de 13 a 19 tormentas con vientos de 63 kilómetros por hora o más, y de seis a nueve huracanes con vientos de 120 kilómetros por hora o más.
De esos huracanes, entre tres y cinco podrían ser mayores (categoría 3, 4 o 5), con vientos de por lo menos 175 kilómetros por hora.
El promedio de actividad en treinta años en la región atlántica ha sido de 12 tormentas tropicales con nombre, seis huracanes y tres huracanes mayores.
«Es importante que nos mantengamos preparados para los huracanes hasta noviembre», señaló en un comunicado Joe Nimmich, administrador adjunto de la Agencia de Gestión de Emergencias de EE.UU. (FEMA, por su sigla en inglés).
«Asegúrese de que revisa su plan de emergencia para la familia, de que tiene un equipo de emergencia en buenas condiciones y de que sus opciones de seguros sean las adecuadas», añadió.
Fuente: El Nuevo Herald

l Ministerio de Industria, Comercio y Mipymes (MICM) informó este viernes que la gasolina premium y el gasoil óptimo recibirán ajustes al alza de RD$9.00 cada uno, mientras que la gasolina regular y el gasoil regular aumentarán RD$7.00 por galón A pesar del alza, El MICM indicó el Gobierno dominicano destinó RD$1,421.4 millones en subsidios a los combustibles, […]

El empresario y comunicador Santiago Matías afirmó que está preparado para enfrentar “sin dilaciones” la demanda por presunta difamación e injuria interpuesta por la diputada del oficialista Partido Revolucionario Moderno (PRM) Leyvi Bautista y su esposo, Jean Claude. Matías, CEO de Alofoke Media Group, instó al Ministerio Público a agilizar el proceso, al señalar que […]

La Junta Central Electoral (JCE) informó que extendió hasta el 11 de mayo el plazo para que los ciudadanos nacidos en abril obtengan la nueva cédula de identidad y electoral. La decisión responde a que este grupo inició el proceso el pasado 12 de abril, por lo que no dispuso de un mes completo para […]