Matthew sube categoría 4 y se cierne sobre Florida


 MIAMI.- El “extremadamente peligroso” huracán Matthew ganó hoy de nuevo intensidad al subir sus vientos máximos a 220 km/hora, mientras se aproxima a la costa sureste de Florida, informó el Centro Nacional de Huracanes (CNH) de EE.UU.
MIAMI.- El “extremadamente peligroso” huracán Matthew ganó hoy de nuevo intensidad al subir sus vientos máximos a 220 km/hora, mientras se aproxima a la costa sureste de Florida, informó el Centro Nacional de Huracanes (CNH) de EE.UU.
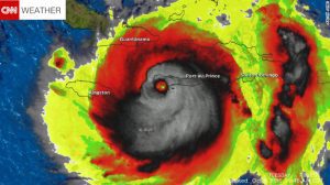
En su boletín de las 15.00 GMT de hoy, el CNH indicó que el poderoso huracán de categoría 4 Matthew se encuentra a 40 kilómetros al oeste noroeste de Nassau (Bahamas) y a 290 kilómetros al sureste de West Palm Beach, en la costa sureste de Florida.
Presenta vientos máximos sostenidos de 220 km/hora y se desplaza hacia el noroeste con una velocidad de traslación de 22 km/hora.
Matthew recobró hoy fuerza de categoría 4 su paso por Bahamas, mientras las bandas de lluvia de los bordes exteriores comienzan ya a tocar al sureste de la península floridana.
Se ha ampliado el aviso de huracán (paso del sistema en 24 horas) en la península floridana hacia el noroeste hasta Edisto Beach, en el estado de Carolina del sur, y emitido un aviso de tormenta tropical para la costa oeste de Florida desde Anclote River hasta Suwannee River.
El ojo de Matthew se mueve en estos momentos hacia el noroeste entre la isla de Andros y Nassau, en las Bahamas, y se espera que mantenga hoy esta trayectoria para “girar hacia el nornoroeste esta noche o temprano en la mañana del viernes.
Según este patrón de trayectoria, Matthew debería atravesar en la tarde de hoy el noroeste de Bahamas y “moverse cerca o incluso sobre la costa este de la península floridana hasta el viernes por la noche”, destacaron los científicos del CNH, con sede en Miami.
Matthew es un huracán de categoría 4 en la escala de intensidad Saffir-Simpson, de un máximo de 5, y se espera un “fortalecimiento adicional” de sus vientos, aunque “debería permanecer como un ciclón de categoría 4 mientras se aproxima a Florida”, advirtieron los meteorólogos.
Las “condiciones ciclónicas” se sentirán primeramente en las zonas que se encuentran bajo aviso de huracán en Florida, para luego extenderse el viernes hacia el noroeste, mientras que en las próximas horas estarán presentes las “condiciones de tormenta tropical”.
Además, las “condiciones de huracán serán posibles en las áreas de vigilancia en el noreste de Georgia y Carolina del sur el próximo sábado”, agregó el CNH.
Permanece activo un aviso de huracán (paso del sistema en 36 horas) para el centro de Bahamas, incluidos Long Island, Exuma, Rum Cay, San Salvador, Cat Island y el noroeste de este archipiélago, con Abacos, la isla de Andros, Berry, Bimini, Eleuthera, Grand Bahama y Nueva Providencia.
También está en vigor un aviso de huracán desde el norte de Golden Beach, en Florida, hasta Altama Sound, en el estado de Georgia, además del Lago Okeechobee.
Hay una vigilancia de huracán (paso en 48 horas) desde el norte de Altamaha Sound hasta el sur del río Santee, en Carolina del Sur, y un aviso de tormenta en activo desde Chokoloskee hasta Golden Beach y los cayos de Florida, es decir, desde el puente de las Siete Millas hacia el este hasta la bahía de Florida.
El huracán, que ya ha pasado por Haití y Cuba, países donde se han retirado los avisos y alertas por el paso de este ciclón, está causando torrenciales aguaceros, fuertes vientos e inundaciones en las zonas donde tocó tierra, además de peligrosos deslizamientos.
El saldo preliminar del paso del huracán Matthew es de 25 muertos, 19 de los cuales se contabilizaron en Haití, según medios.
El gobernador de Florida, Rick Scott, advirtió esta mañana en una rueda de prensa de que “millones de floridanos se quedarán sin luz eléctrica” tras el embate de este temible huracán.
Scott alertó ayer de que un impacto directo de Matthew en Florida podría causar una destrucción masiva como no se ha visto en el estado desde el paso del huracán Andrew en 1992, y solicitó una declaración de emergencia para la región por parte del presidente, Barack Obama.
Los expertos advirtieron también de la peligrosa “combinación de marejada ciclónica y grandes olas destructivas que pudieran aumentar el nivel del agua del mar” y causar inundaciones en las zonas costeras.
“Habrá un potencial de inundaciones que pudieran amenazar la vida de las personas durante las próximas 36 horas a lo largo de la costa este de Florida, desde Deerfield Beach hasta Altamaha Sound”, alertó el CNH.
De acuerdo con el centro meteorológico, Matthew, que llegó a tener la categoría 5, es el huracán más poderoso que se ha formado en el Atlántico desde Félix, en 2007, que causó más de 130 muertos a su paso por Nicaragua.
En esta temporada de huracanes en el Atlántico se han formado catorce tormentas tropicales, de las que cinco se han convertido en huracanes (Alex, Earl, Gastón, Hermine y Matthew), que han causado al menos 66 muertes, la mayoría de ellas en México por el paso de Earl.

Barcelona.– Una nueva combinación terapéutica ha demostrado ser más eficaz que el primer tratamiento estándar que se aplica actualmente en cáncer de mama metastásico HER2++ tras el diagnóstico. Son los resultados del ensayo clínico fase 3 Destiny-Bresat09, que publica The New England Journal of Medicine y en el que han participado científicos del Vall d’Hebron Instituto de Oncología (VHIO), en España. «Este estudio cambia el […]

La difusión de “rumores” que alteren al “orden público” se castigará con hasta 5 años de prisión y una importante multa, advirtieron las autoridades sauditas tras denuncias online sobre casos de acoso sexual. En el reino ultraconservador se canceló a último momento un concierto, previsto para el viernes pasado, a causa de fuertes lluvias que […]

El huracán Melissa impactó duramente a Cuba, dejando una estela de destrucción significativa tras su paso por la isla como huracán de categoría 3. La tormenta tocó tierra en la provincia de Santiago con fuertes vientos y lluvias torrenciales que causaron inundaciones generalizadas y daños en infraestructuras vitales. El presidente cubano, Miguel Díaz-Canel, calificó la […]