
SUZUKA, Japón. El piloto de Mercedes Nico Rosberg aprovechó el domingo un lento arranque de su compañero Lewis Hamilton para ganar el Gran Premio de Japón de Fórmula 1 y ampliar su ventaja en la cima del campeonato. Rosberg, que salió de la pole position, controló la carrera en todo momento y terminó 4,9 segundos […]

NEW HYDE PARK. Decenas de personas resultaron heridas luego de que un tren de pasajeros chocó con un tren de servicio en las vías al este de la ciudad de Nueva York y se descarriló, informaron las autoridades. El tren viajaba en dirección al este cuando descarriló al este de New Hyde Park, justo después […]

ESTADOS UNIDOS. Travis Wood reemplazó al abridor Kyle Hendricks tras salir lastimado y se convirtió en el primer relevista desde 1924 en disparar un jonrón, para que los Cachorros de Chicago derrotasen el sábado por 5-2 a los Gigantes de San Francisco y tomar una ventaja de 2-0 en la serie divisional de la Liga […]

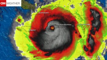
PUERTO PRINCIPE. La cifra de muertos en Haití por el paso del huracán Matthew se disparó hoy viernes en la tarde, a 820, según informó una fuente del Gobierno haitiano. La cifra prácticamente duplica el número de fallecidos que facilitó a primeras horas de hoy Protección Civil. Las principales víctimas se registraron al oeste del […]

DEPORTE. Nueve lanzamientos, tres jonrones, un inning devastador, en el que brillaron dos boricuas. Francisco Lindor y su coterráneo Roberto Pérezconectaron dos de los tres jonrones que Cleveland logró en el tercer inning ante Rick Porcello, y los Indios superaron el jueves 5-4 a los Medias Rojas de Boston en el primer juego de la […]

PUERTO PRÍNCIPE (AFP).- Al menos 108 personas murieron en Haití por los efectos del huracán Matthew. El ministro del Interior haitiano, François Anick Joseph, dijo este jueves por teléfono a la AFP que al menos 108 personas habían muerto en el país, el más pobre de las Américas. El anterior balance era de 23 fallecidos. Solo […]

MIAMI.- El “extremadamente peligroso” huracán Matthew ganó hoy de nuevo intensidad al subir sus vientos máximos a 220 km/hora, mientras se aproxima a la costa sureste de Florida, informó el Centro Nacional de Huracanes (CNH) de EE.UU. En su boletín de las 15.00 GMT de hoy, el CNH indicó que el poderoso huracán de categoría […]

PUERTO PRÍNCIPE (AFP).- Las elecciones presidenciales y legislativas del domingo en Haití fueron postergadas este miércoles tras el devastador paso del huracán Matthew por este país caribeño, donde la primera vuelta de los comicios, efectuada en 2015, fue anulada tras hechos de violencia y fraudes masivos, informó el consejo electoral. Las autoridades tienen que “hacer una […]