
El empresario y multimillonario mexicano, Carlos Slim, propuso este viernes semanas laborales de tres días, con hasta 36 horas, y una jubilación a los 75 años para duplicar la oferta de puestos de trabajos que demanda una creciente fuerza productiva mexicana. “Conforme se desarrolle esta nueva civilización y sube la productividad a niveles muy altos […]

Colombia. – Ocurrió este viernes un nuevo ataque donde ocho uniformados de la policía murieron durante una emboscada perpetrada en la vereda Corozal, corregimiento de San Luis, zona rural de Neiva, Colombia. Los hechos ocurrieron a las 2:30 p. m. cuando un artefacto explosivo aún sin identificar fue detonado al paso de una camioneta institucional […]

República Dominicana condenó hoy el “vil atentado” contra la vicepresidenta de Argentina, Cristina Fernández, cuando esta regresaba a su apartamento la noche del jueves en un sector de Buenos Aires. El ministro de Relaciones Exteriores dominicano, Roberto Álvarez, condenó el ataque en su cuenta de Twitter y manifestó su “profundo repudio». “Expresamos nuestro profundo repudio por el vil […]

Madrid, EspañaLa reina Isabel II no acudirá este sábado a un festival en Escocia al que sí suele asistir habitualmente, lo que alimenta las especulaciones sobre un posible empeoramiento de su estado de salud, lastrado desde el año pasado por problemas de movilidad. La reina, de 96 años, se encuentra en su residencia de Balmoral y, […]

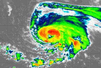
Miami, Estados Unidos.- El primer huracán de 2022 en el Atlántico se formó este viernes a partir de la tormenta tropical Danielle pero no representa peligro, según los datos del Centro Nacional de Huracanes (NHC) de EE.UU.. El territorio más cercano a Danielle es el archipiélago portugués de las islas Azores, de las que dista 885 millas (1.425 km). […]

Redacción Internacional.- Pese a que el lanzamiento del iPhone 14 está previsto para llevarse a cabo el 7 septiembre, los iPhone 14 Pro ya están circulando en el gigante asiático como toda una novedad. Esta es una práctica habitual en todo el mundo, los clones de los celulares están por todos lados. La nación de […]

TOKIO.- Al menos cuatro personas murieron y 194 resultaron heridas por el fuerte terremoto que sacudió Fukushima anoche, dejando desperfectos en infraestructuras e interrupciones en el transporte y la actividad comercial que continúan bajo evaluación. El sismo, que sacudió el este y centro de Japón durante medio minuto, comenzó a las 23:36 del jueves (14:36 […]

El papa Francisco mostró hoy su «solidaridad y cercanía» con la vicepresidenta de Argentina, Cristina Fernández, tras el intento de asesinato que sufrió este jueves y abogó porque «prevalezca siempre la armonía social» en su país y se rechace «todo topo de violencia y agresión». «Habiendo recibido la preocupante noticia del atentado que vuestra excelencia […]

Miami.- Una persona murió y otra resultó herida y fue hospitalizada como consecuencia del vuelco del avión ejecutivo en el que iban a despegar de un aeródromo en Orlando (Florida) por efecto de una tormenta de viento, informaron fuentes oficiales. Un portavoz del Aeropuerto Ejecutivo de Orlando dijo este viernes a medios locales que un […]